桃園市政府委託辦理正光路公辦更新案上梁典禮
桃園首件自行實施公辦案 都更重要里程碑
本案為桃園市政府首件「自行編列預算」並「擔任實施者」的公辦更新案,昨日(1/19)正式舉辦上梁典禮,本基金會由麥怡安執行長代表出席,見證工程邁向新階段,並祝賀上梁典禮圓滿順利!
上樑典禮合影
基地位置與規劃
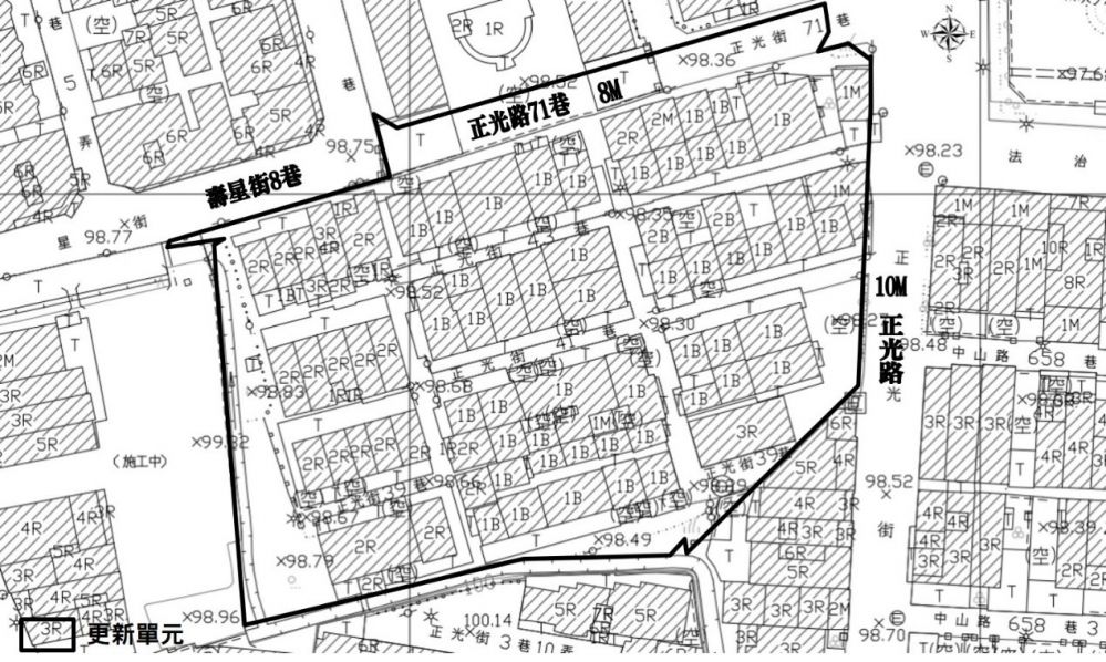
基地位於桃園區正光路與正光路71巷交叉口(鄰近桃園地方法院)。範圍內公有土地佔比逾 9 成,更新後將興建 2 棟社會住宅 及 1 棟警政大樓,旨在落實居住正義並增進公共利益。

更新單元位置圖

更新單元範圍圖
本基金會很榮幸受桃園市政府委託,協助推動本案。過程中與公私有土地所有權人進行多次協調與意見整合,讓專案得以順利推進:
- 2021.05.18|協助申請事業計畫暨權利變換計畫報核
- 2022.04.14|全案核定公告
- 2023.07.07|舉辦開工典禮
- 2026.01.19|舉辦上梁典禮
期待未來完工後,為桃園市民帶來更優質的居住環境與公共服務空間!
個案網站:https://www.ur.org.tw/plan/career_view/109/plan/
上樑典禮留影1
上樑典禮留影2
-
- 發布日期
- 2026/01/20
-
- 發表人
- 本基金會
-
關鍵字 公辦都更
